
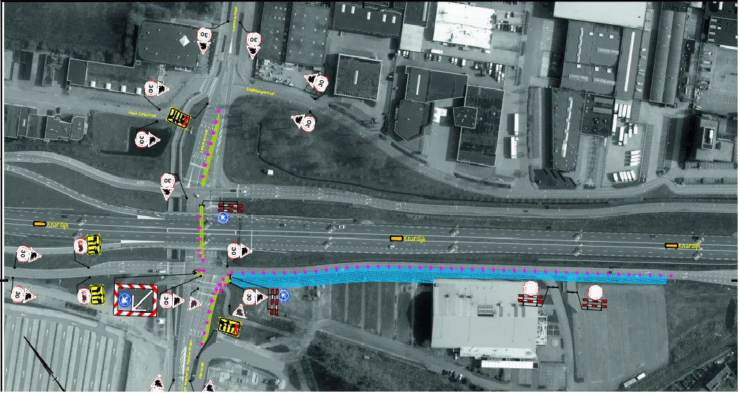
Vanaf dinsdag 29 maart vinden werkzaamheden plaats voor het realiseren van een uitvoegstrook op de Knardijk (parallelweg N302) voor de ontsluiting van het parkeerterrein van de supermarkt Dirk van den Broek.
Tijdens deze werkzaamheden zal de rechter rijstrook op de parallelweg afgesloten zijn. Ontwikkelaar Borghese heeft hierover afspraken gemaakt met de provincie Gelderland en Heijmans als wegbeheerder. In de bijlage zijn de werkzaamheden beschreven en is een tekening met de verkeersmaatregelen opgenomen. Klik hier voor de site van de gemeente